Vineyard Clusters blooming at Bingham Vineyards
I am trying to provide current updates on the vineyards and the crops, but I am still just getting the hang of this blogging stuff, so these pictures are a week or so old. Cliff & I took some friends on a tour of the vineyard on May 30th. They had a nephew visiting that is thinking of changing his profession from an engineer to a farmer. What is the poor guy thinking? Farming is probably the most stressful job there is, right? … Or maybe having a winery is? Anyway, the nephew is looking at the idea of putting in a vineyard or a farm. So … we went for a tour.
It really is beautiful isn’t it? Just beautiful. … I guess that is why we keep doing it.
I am really sad to say that I have forgotten most all of the very wise and wonderful things that Cliff told us on the tour. So … I went out and bought a digital voice recorder.
Really cute, right. Now if I can just figure out how to use the thing – next time – I will be able to listen to those very wise words again while I am writing up the blog to go with the pictures. But unfortunately, you’re stuck with me this time. So, let’s see what I can remember:
I think this was a prebloom cluster.
These clusters are blooming.
These are blooming and starting to set.
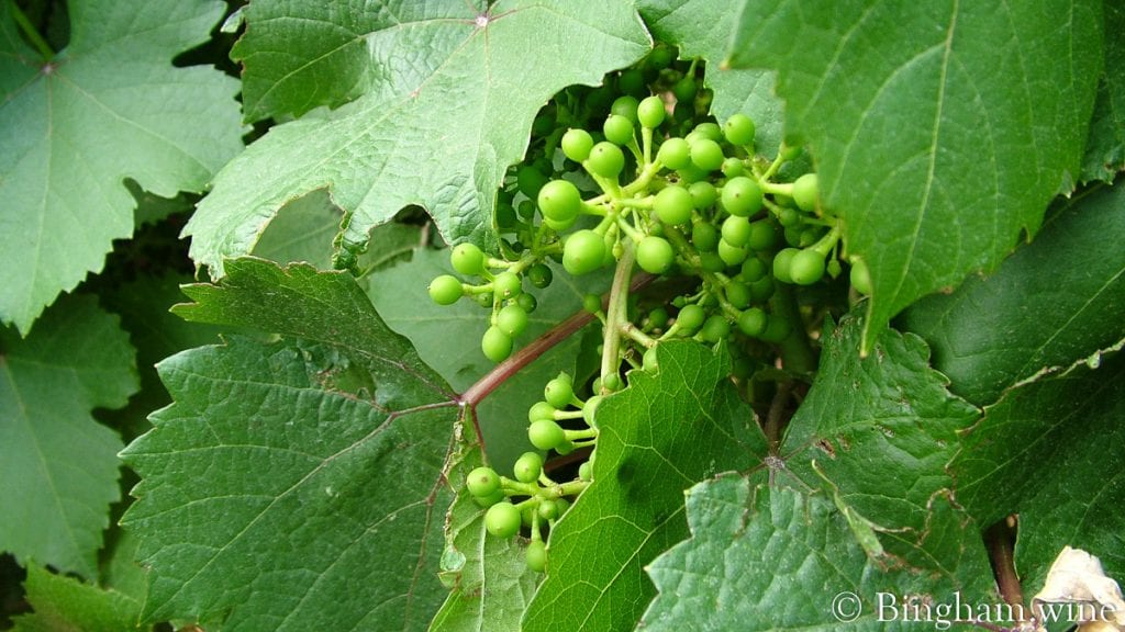
These clusters have fruit set after the blooms.
Aren’t those beautiful straight rows?
While we were looking at the Vermentino, it was very interesting that at this point our visitors asked a question about pollination. Cliff answered that we really didn’t have any problems with pollination, – unless maybe with the Vermentino.
These two shots show a cluster of Vermentino has a few berry shots which mean some of the potential berries didn’t pollinate and develop.
Here we found a flea hopper. We didn’t find very many at all, but they are definitely something that you watch for.
As you can see these Vermentino vines are pretty heavy set, but Cliff said that he wanted to leave them this way for a little while until we see how consistent the berries were. Then we may cluster thin later, unless – the hail gets to it first.
Blessings,
Betty












